Bogotá sigue con obras que buscan mejorar la movilidad en la capital, sobre todo en puntos críticos donde el tráfico diario se vuelve una pesadilla. Uno de esos lugares es la autopista Sur, por donde miles de carros y buses se mueven cada día entre la ciudad y Soacha.
Aunque puede parecer contraproducente, se viene una intervención importante que va a cambiar la forma en que se conecta esta zona con la avenida Carrera 68. El proyecto incluye un nuevo puente vehicular, y para poder construirlo, toca hacer algunos cierres que impactan el paso habitual.
Le puede interesar: Buenas noticias para conductores que van a La Calera: les ahorrarán trancón
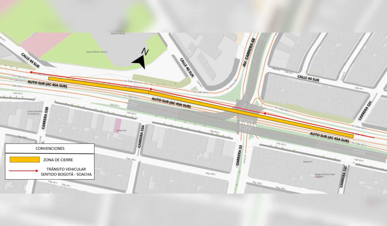
Cierre total de carril en la Autopista Sur
A partir de las 12 de la medianoche del 11 de julio de 2025, se cerrará uno de los carriles de la Autopista Sur, en el sentido Bogotá – Soacha, justo entre la carrera 52C y la calle 44 sur. Esta medida va a durar cerca de un año completo, con cierre las 24 horas del día.
El motivo es la construcción de los apoyos (EJE 6) para el puente que cruzará la Autopista Sur por la avenida Carrera 68. Es una obra grande, que busca darle más fluidez a una zona con mucho trancón.
Lea también: Cierre del puente de la NQS con Sexta: desvíos afectarán hasta el 20 de julio
Así funcionará el tránsito durante los trabajos
Para no afectar más de la cuenta, la Secretaría de Movilidad ya autorizó un Plan de Manejo de Tránsito. Durante el cierre, los carros particulares y los buses que vayan hacia Soacha podrán seguir circulando por los dos carriles habilitados de la calzada mixta.
Mientras que el llamado para los peatones es a usar los andenes, senderos peatonales y cruces señalizados, y no arriesgarse por sitios indebidos. Todo está pensado para mantener la seguridad mientras se adelantan las obras.

Le puede interesar: Conductores reciben anuncio del IDU: puente en la Av. Suba dejará de funcionar
¿Qué tener en cuenta si pasa por esta zona?
Durante este tiempo, quienes transiten por la zona deben seguir algunas recomendaciones básicas para evitar problemas:
- Manejar con calma y respetar la señalización de obra.
- Escuchar a los auxiliares de tránsito que estarán guiando el paso.
- Tratar de evitar la zona en horas pico, si se puede tomar otra ruta.
- Caminar solo por los sitios seguros y no improvisar cruces.
Este cierre hace parte del programa "Bogotá, mi Ciudad, mi Casa", que busca renovar las vías y facilitar el día a día de quienes viven y trabajan en la capital. Aunque habrá molestias, se espera que con el nuevo puente, el tráfico en este punto mejore de forma duradera.